таг: Во
Јовановиќ: Прикажавме силно авангардни и ангажирани филмови на унгарската филмска вечер...
Во рамките на дополнителната програма на фестивалот „Охридско лето“ викендов во копродукција со МФФ Киненова беа прикажани унгарските филмови „Три илјади изброени парчиња“ и...
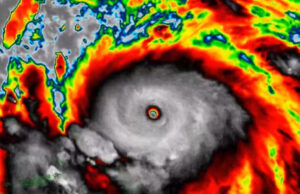
(Видео) Ураганот Ерин се засили на четврта категорија, опасно се зајакнува...
Ураганот Ерин се врати во бура од категорија 4, со ветрови од 210 км/ч и се протега во круг од 370 километри, соопшти Националниот...
Малкумина имаат толку среќа: одбрани хороскопски знаци можат да очекуваат 9...
Астролозите предвидуваат дека во текот на следните девет години, одбрани хороскопски знаци ќе можат да воздивнат со олеснување, бидејќи ќе бидат придружени од среќа...
(Видео) Пожарникарите во Црна Гора плачат од среќа – дождот ги...
Ситуацијата во Црна Гора се смири по неколку дена катастрофални шумски пожари! Силен дожд со поројни врнежи зафати многу подрачја и им помогна на...
Крадци го разбиле катанецот и украле сандаци со пчели и мед...
Вчера во СВР Штип, Г.Г. (47) пријавил дека во периодот од 12 до 16 август, со употреба на сила, бил отстранет катанец од метална...
Тинејџерки се однесувале агресивно со полицајци, приведени се во Ѓорче
Во 3 часот по полноќ на подрачјето на Ѓорче Петров полициски службеници ги приведоа А.Ч.(18) и 16-годишна малолетничка, двете од Скопје, поради тоа што...
Од 1,5 до 3,3 промили – пијани возачи приведени низ Македонија
Вчера во повеќе градови во земјава полицијата приведе возачи кои управувале возила под дејство на алкохол, а двајца од нив предизвикале и сообраќајни несреќи.
Во...
(Видео) Силен земјотрес ја погоди Индонезија, десетици повредени
Десетици луѓе беа повредени во земјотрес со магнитуда од 6,0 степени што го погоди централниот Сулавеси во Индонезија рано утрово. Земјотресот, на длабочина од...
Запален штаб, солзавец, шок бомби – масовни протести во Србија
Синоќа имаше смасовни протести во повеќе градови низ Србија, меѓу кои Белград, Ваљево, Милановац, Книќ и Нови Сад. Пред седиштето на Српската напредна партија...
(Вознемирувачко видео) Полицијата на раце носи жена што се обиде да...
Денеска (16.08.2025) околу 14 часот во СВР Скопје е пријавено дека во реката Вардар во Скопје, под мостот на ул. “Војвода Васил Чакаларов” има...





























